作成:2022/2/12

 

路線バスからコミュニティバスへ 

 

<カテゴリ:バス>


 東北に通い始めた1984年から約40年近く経過したこともあり、随分と旅のスタイルが変わりました。ここではそれを旅の風景と呼ぶことにします。当時を思い出しながら、旅の道具である、「鉄道」「バス」「徒歩」を中心に、流行りのbefore/afterの形式で触れたいと思います。

 今回は旅の手段の中から「バス」に焦点を当てて、その変化について振り返りたいと思います。

 

バス旅の醍醐味

 

 路線バスのテレビ番組などにより、バス旅の醍醐味が見直しされてきているようです。私もバス旅への思いが強く、実は一時期、時刻表に記載されているバス路線すべてに乗車することを狙っていました(もちろん東北地方だけですが)。ただ鉄道の場合は、新線開設ということはほとんどないのですが、バス路線については、特に長距離路線を中心に次から次へと新線が開通するので、最終的にバス路線をすべて制覇するという野望は断念しました。

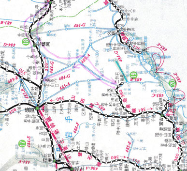
北上山系バス路
北上山系バス路線(交通公社時刻表1983年11月号より抜粋)

  ただそれでも、バス旅への思いは強く、1日中、ただバスに乗っただけで過ごしたこともありました。極端な例をご紹介します。右の図は1980年頃の岩手県北部の路線バス図です。1989年のGWに約10日かけて北陸中海岸を訪問したのですが、1989/5/2の旅程は以下の通りでした。

 

(前日岩泉の民宿泊)

・岩泉営業所(7:40)=(JRバス)=葛巻(9:13)

・葛巻(9:58)=(JRバス)=沼宮内(10:48)

・沼宮内(11:15)=(JR)=八戸(12:42)

・八戸(14:37)=(JR)=一戸(15:09)

・一戸(15:45)=(JRバス)=葛巻(16:52)

・葛巻(16:53)=(JRバス)=岩泉(18:22) (泊)

 

 そうです。ピンクでマークしたように、一筆書きをなぞるように、ただ1日バスに乗っていたのです。この路線は北上山系の山深い山岳道路を通るため、結構、スリリングな道や人家のない道が多く、そういった道路を通る時は妙な郷愁を感じたものです。しかもほとんどがJRバスですのでワイド周遊券を使えば、すべて無料という、正にバスに乗るためだけの日でした。

 

  関連記事「周遊券」

 

 ただいずれの路線も乗車客は少なく、1人だけの路線も多くあり、これでは赤字だろうなと思っていました。このエリアに限らず、東北地方のバス路線の多くが乗客1人という場合が多く、いずれ廃線になるのではないかと心配していました。

 

 その後、心配が現実のものとなり、多くの地方路線は廃線となってしまいました。上の図でも岩泉から安家洞への路線(青色でマーク)も何時の間にかなくなっていました。残るのは都市間を結ぶ幹線、もしくは首都圏を結ぶ長距離路線であったりとバス会社にとってのドル箱路線です。民間会社であるからには仕方ありません。ただ私のようにバスを旅の重要な手段にしている者にとっては、行動が制限される一方です。

  

路線バスからコミュニティバスへ

 

 そんな時、路線バスに代わる手段として「コミュニティバス」があることに気付きました。もちろん私が住んでいる町にも「コミュニティバス」はあるので、その存在自体は以前より知っていました。ただ「コミュニティバス」の印象というのは、主にお年寄りが対象で、最寄りの駅から病院へ運ぶといった具合に、比較的短距離路線というものでした。ところが「コミュニティバス」のありがたさを知ったのは、宮城県の限界集落へ向かうコミュニティバス路線の存在を知った時です。

 

 宮城県と山形県の県境に「七ケ宿」という町があり、そのはずれに「千蒲」という限界集落があります。なおこの七ケ宿千蒲地区を限界集落と呼ぶことに誤解があるといけないので、補足します。

 広辞苑によると「限界集落」とは「過疎化で65歳以上の人口が半数を超え、社会的共同生活の維持が困難な状況にある集落」とされています。私が最初に七ケ宿千蒲地区のことを知ったのは20年以上前の記事です。その記事ではこの七ケ宿千蒲地区を限界集落として紹介していたのですが、その情報元を忘れてしまったので、うかつに七ケ宿千蒲地区のことを限界集落と呼んでいいものか躊躇していました。ところが、先日、「限界集落住んでみました」というNHKの番組が放映されていて、その中で、正にこの千蒲地区が紹介されていました。ようやく大手を振って「千蒲」地区を限界集落と呼ばせて頂きます。

 

 さて20年ほど前に、ある記事を読んで私はどうしてもこの限界集落である七ケ宿千蒲地区を訪れたかったのですが、バス路線が通じていません。最も近くのバス停から2時間以上、歩く必要があります。最悪、歩いていくか、もしくは断念することを考えていました。

 ところがこの集落のことを調べていく中で、なんとコミュニティバスが通じていることがわかりました。しかも接続がうまくいけば、新幹線駅でもある白石蔵王からバスで乗り継いで行けるのです。もちろん時刻表には乗っていません。

 

こういう方法があったのか!

 

 

  私の旅のパターンが一気に拡がった思いがしました。コミュニティバスの正確な定義や路線バスとの違いについては、はっきりと理解しているわけではありません。wikipediaによると

 ・路線バスとは、一般道路を主体に路線を設定して運行されるバス

・コミュニティバスとは、地域住民の移動手段を確保するために地方自治体等が運行するバス

とあります。また交通事業者が赤字路線から撤退した後、高齢者や障害者、学生や児童など交通弱者の交通手段が失われないよう、市町村等が費用を負担してバスを委託運行することが多いとも書かれています。民間のバス会社から赤字路線を受け継いで地方自治体が運営している路線を指す場合が多いようです。

 

花巻市コミュニティバス
花巻市コミュニティバス※本文とは関係ありません

  私の旅のパターンが一気に拡がった思いがしました。コミュニティバスの正確な定義や路線バスとの違いについては、はっきりと理解しているわけではありません。wikipediaによると

 ・路線バスとは、一般道路を主体に路線を設定して運行されるバス

・コミュニティバスとは、地域住民の移動手段を確保するために地方自治体等が運行するバス

とあります。また交通事業者が赤字路線から撤退した後、高齢者や障害者、学生や児童など交通弱者の交通手段が失われないよう、市町村等が費用を負担してバスを委託運行することが多いとも書かれています。民間のバス会社から赤字路線を受け継いで地方自治体が運営している路線を指す場合が多いようです。 

温湯温泉
温湯温泉(2007年撮影)

  地元のための足を、よそ者である私が利用することに少し後ろめたいものがありますが、あるものを使わない手はありません。その後、路線バスがないエリアについても、ネット等でコミュニティバスがないかを調べて、何度も利用しました。一番、ありがたかったのは、岩手県と宮城県の県境にある栗駒山に登った時です。下りは温湯温泉へのルートを辿ったのですが、当初、そこから最寄りの花山地区まで2時間の徒歩を予定していました。その後、温湯温泉からのコミュニティバスがあることが判り、大幅に時間を節約することが出来ました。

 

 これ以外にもいろいろ探してみると、意外なルートにコミュニティバスがあることがわかりました。是非、コミュニティバスを移動の手段に加えて、東北地方を訪れてみませんか

 

「変わりゆく風景」に戻る

 


<関連情報>